I know it seems obvious, but when someone goes on Google Search, they would expect a correct answer.
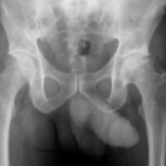
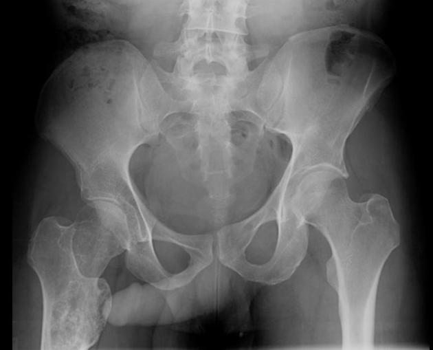
When I asked Google if, in an X-Ray of a hip and pelvis, the penis and testicles could be seen, it answered no. When I scrolled down, I saw about 400 comments stating otherwise. With pictures to prove it.

(not mine)
Now, to give Google some credit, it’s official answer was: “No, a standard X-ray of the hip and pelvis will not typically show the penis and testicles clearly, as they are soft tissues that are largely obscured by the surrounding bone structure; however, in some cases, with specific positioning and if the patient is very thin, faint outlines of the male genitalia might be visible on the image, but this is not reliable or intended for diagnosis.”
Ever heard of the John Thomas sign?
From Wikipedia: “The John Thomas sign, also known as the Throckmorton sign, is a slang or joke term used in the field of radiology. It refers to the position of a penis as it relates to pathology on an X-ray of a pelvis. When the penis (visible on the X-ray as a shadow) points towards the same side as a unilateral medical condition such as a broken bone, this is considered a ‘positive John Thomas sign,’ and if the shadow points to the other side, it is a ‘negative John Thomas sign.’”

Hey, Google! Can you see the penis?

I don’t think Google can. Maybe they’re a robot, without genitals.

Maybe they’ve never seen a dick before.
____________________
info@secretagentman.net

Leave a comment